Ana Sayfa Arama Galeri Video Yazarlar
Üyelik
Üye Girişi
Yayın/Gazete
Yayınlar
Kategoriler
Servisler
Nöbetçi Eczaneler Sayfası Nöbetçi Eczaneler Hava Durumu Namaz Vakitleri Puan Durumu
WhatsApp
Sosyal Medya
Uygulamamızı İndir

THY’nin 51 yıl önce düşen uçağının enkazından yeni parçalar bulundu

İbrahim YILDIZ/İSTANBUL, – MARMARA Denizi’ne 1975 yılında düşen ve enkazı

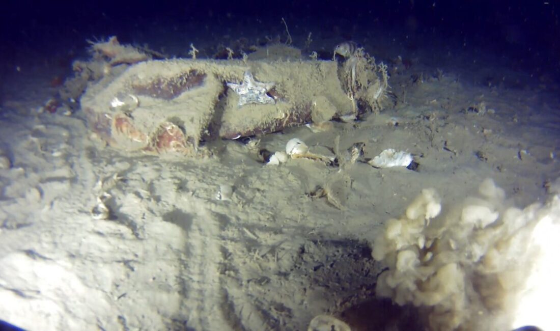
İbrahim YILDIZ/İSTANBUL, – MARMARA Denizi’ne 1975 yılında düşen ve enkazı 51 yıldır bulunamayan Türk Hava Yolları’na (THY) ait ‘Bursa’ isimli Fokker F-28 uçağının arama çalışmaları devam ediyor. Uzun süredir enkazı arayan sanal medya ünlüsü Nedim Kuru ve ekibi, 5’nci kez yaptığı sonar taramasında bu kez de uçağa ait olduğu düşünülen alüminyum parçalar görüntüledi.

Marmara Denizi’ne 30 Ocak 1975 tarihinde düşen, 42 kişinin hayatını kaybettiği ve o günden bu yana enkazı bulunamayan Türk Hava Yolları’na (THY) ait ‘Bursa’ isimli Fokker F-28 tipi uçağın enkazını bulma çalışmaları devam ediyor. Sanal medya ünlüsü Nedim Kuru ve ekibi bugün 5’nci kez Marmara Denizi Büyükçekmece ve Ambarlı çevresinde yaptığı çalışmalarda, su altı dronu deniz altında SONAR ve dip taraması yaptı. Yapılan taramalarda uçağa ait olduğu düşünülen alüminyum parçalar görüntülendi. Öte yandan Nedim Kuru, Marmara Denizi’nin içine bir anıt mezar yapmak için İstanbul Valiliği’ne başvuruda bulundu.

DAHA ÖNCE ARAMA ÇALIŞMALARI SINIRLI KALMIŞTI

Kazada hayatını kaybedenler arasında teknik direktör Fatih Terim’in kayınpederi Kamuran Aksu ve şarkıcı Seyyal Taner’in hostes kardeşi gibi isimler de yer alıyordu. Dönemin teknolojik yetersizlikleri nedeniyle enkaz resmi olarak çıkarılamamış, arama çalışmaları sınırlı kalmıştı.

‘5 SAAT ARAMA ÇALIŞMASI YAPILDI, YENİ PARÇALAR GÖRÜNTÜLEDİK’

5’nci kez Marmara Deniz’i altında su altı dronu ile yaptığı çalışmalar hakkında bilgi veren Nedim Kuru, “THY’ye ait ‘Bursa’ isimli 42 yolcusu ile birlikte düşen düşen yolcu uçağına 5’nci dalış operasyonu gerçekleştirdik. 7 saat boyunca uçağın düştüğü enkaz bölgesinde su altı dronu ile arama yaptık ve uçak enkazına ait diğer parçaları görüntüledik. Görüntüler arasında uçağa ait olduğunu düşündüğümüz alüminyum parçalar tespit ettik” dedi.